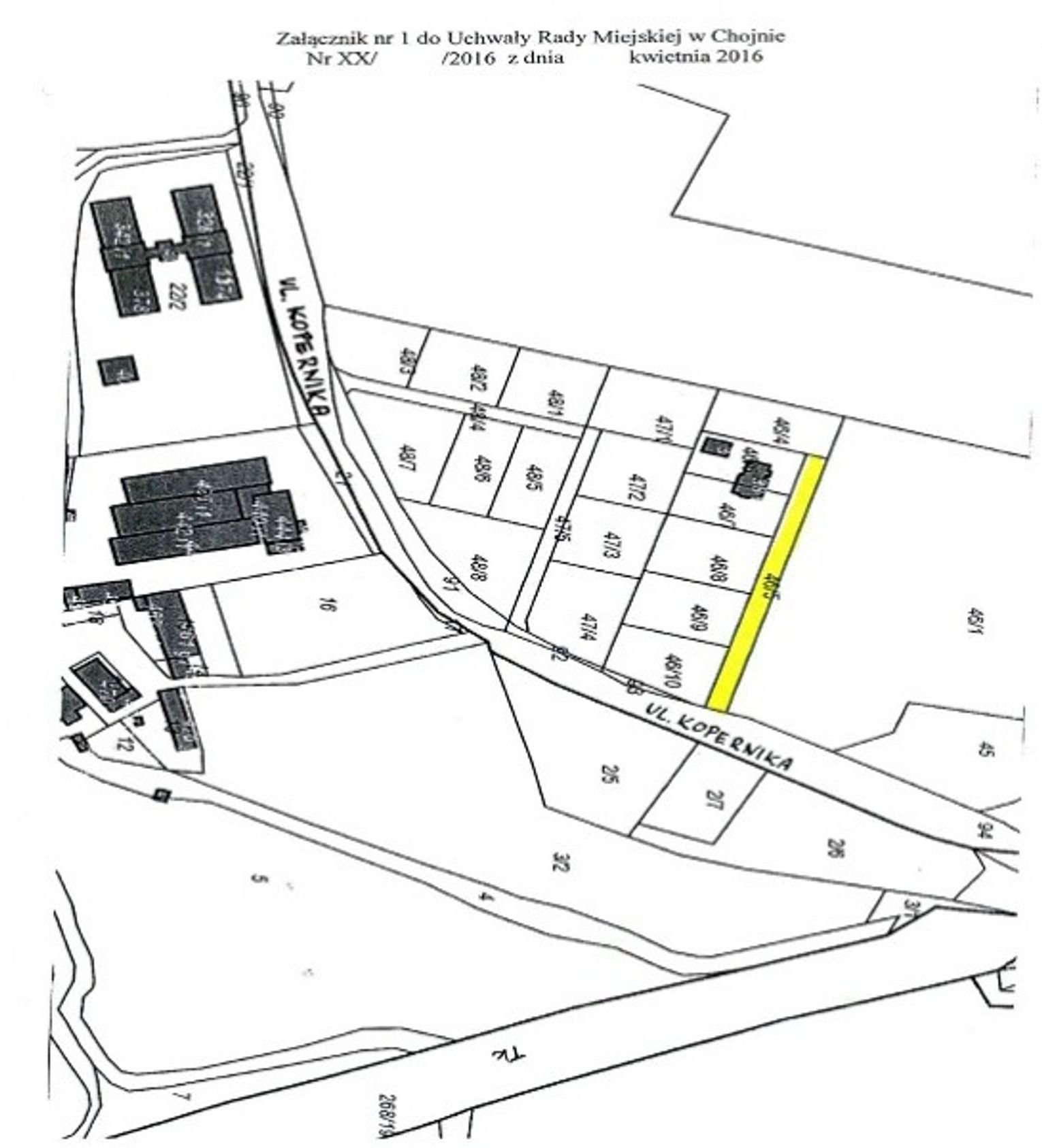
Przypomnijmy, że chodzi o drogę wewnętrzną oznaczoną jako działka nr 46/5 o pow. 0,1017 ha, położoną w obrębie 1 miasta Chojna (mapka w fotogalerii). Droga jest współwłasnością osób fizycznych, a w tej okolicy buduje się wiele domów jednorodzinnych.
Reklama
Nie chcieli nawarzyć sobie piwa i zgodzili się z propozycją mieszkańców
Heweliusz bardziej kojarzył się niektórym mieszkańcom Chojny z nazwą piwa niż z gdańskim astronomem. Ponadto pamięta się katastrofę promu kolejowo-samochodowego Jan Heweliusz, który zatonął na Morzu Bałtyckim 14 stycznia 1993 roku. Większość mieszkańców Chojny była za nadaniem ulicy nazwy Akacjowa. I do tego przychylili się radni oraz wnioskodawca – burmistrz Adam Fedorowicz. To była jedna z nielicznych spraw na czwartkowej sesji gdzie radni i burmistrz byli zgodni.
- 08.04.2016 20:31 (aktualizacja 10.08.2023 18:03)

Reklama
Reklama
Reklama











Napisz komentarz
Komentarze