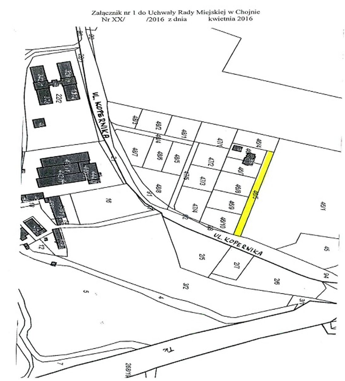
- Z uwagi na nazwy ulic sąsiednich: Kopernika, Curie-Skłodowskiej proponuje się nazwę: ulica Heweliusza – uzasadniają władze gminy.
O nadaniu nazwy ulicy zadecydują radni Rady Miejskiej w Chojnie.

- Z uwagi na nazwy ulic sąsiednich: Kopernika, Curie-Skłodowskiej proponuje się nazwę: ulica Heweliusza – uzasadniają władze gminy.
O nadaniu nazwy ulicy zadecydują radni Rady Miejskiej w Chojnie.
Napisz komentarz
Komentarze